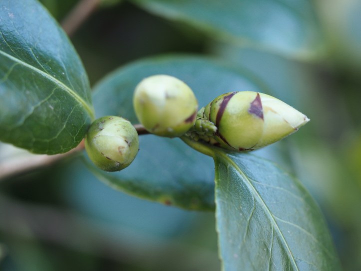
Camellia japonica L. var. Nuccio’s gem
Nombre científico: Camellia japonica L. var. Nuccio’s gem
Nombre común: Camelia.
Familia: Theaceae (Teáceas).
Origen: El origen de la especie es China y Japón; el de esta variedad es Portugal.
Hábitat: La especie silvestre habita en bosques de regiones tropicales y subtropicales del sudeste asiático, a media altura sobre el nivel del mar.
¿Dónde encontrarla?: En el Jardín de La Isla
¿Por qué?: En esta época del año la camelias comienzan a mostrarse en todo su esplendor. A lo largo de La Isla, se pueden admirar más de cien cultivares. El nuccio’s gem, en concreto, es uno de los pocos cuya flor es de un blanco impoluto.
Curiosidades:
El género debe su nombre al botánico jesuita Georg Kamel. Comprende numerosas especies, siendo Camellia japónica la más utilizada en jardinería.
Las hojas son pecioladas, ovaladas, gruesas y con el borde dentado, con el haz más oscuro que el envés.
El color de las flores también varía desde el blanco más puro hasta el rojo más intenso, pasando por todas las tonalidades de rosa y rojo e incluso jaspeados.
En cuanto a sus necesidades lumínicas, podemos aseverar que no es nada exigente y puede situarse en un lugar totalmente sombrío o con mucha sombra, con semisombra o con exposición directa al sol sin que repercuta en su correcto crecimiento.
Existen más de 3000 variedades diferentes de la Camelia Japónica, número que cada año va en aumento con la aparición de otras nuevas.
Este ciltivar en concreto fue originado a partir de una semilla de C. japonica por Nuccio’s Nurseries en Altadena, California, USA. Floreció por primera vez en 1965.
El aceite de camelia hidrata, nutre y repara el cabello más dañado, pero también puede utilizarse para la piel. En Japón se extrae un aceite de sus semillas que se emplea como tinte capilar.
Una de las cosas más sorprendentes de la camelia es que carece de fragancia.
Las camelias se popularizaron en Europa a raíz de la novela de Alejandro Dumas (hijo) La dama de las camelias y más tarde, Coco Chanel se inspiró en estas flores para muchos de sus diseños.







Thuja occidentalis L.
Nombre científico: Thuja occidentalis L.
Nombre común: tuya de Canadá, tuya occidental, cedro blanco del norte, tuya americana, árbol de la vida.
Nombre en inglés: easter white-cedar, canadian tree
Familia: cupresácea
Etimología: El nombre “thuja” deriva del griego “thya” o “thyon” que servía para designar las maderas y árboles de olor perfumado. La “thuja occidentalis” fue descrita por Linneo en 1753
Origen: Nordeste de EEUU y sudeste de Canadá.
Hábitat: Se adapta bien a cualquier tipo de suelo, pero prefiere los bien drenados, en orillas de lagos y ríos (en su lugar de origen crece cerca de cauces de agua), zona de acantilados o taludes y las zonas soleadas. Resiste bien el calor y también las nevadas.
¿Dónde encontrarlo? :En el bioma boreal americano, repartida por toda la zona.
¿Por qué?: Por los tonos cobrizos que muestran los ápices de las hojas de muchos de los ejemplares.
Curiosidades:
Después de conocer en su viaje por Canadá el árbol llamado “annedda” por los hurones (Thuja occidentalis L.), Jacques Cartier lo introdujo en Europa hacia 1540. Fue plantado en Fontinebleau y descrito 30 años más tarde por Clusius como “De arbole vitae”, puesto que el jugo de sus hojas curaba la enfermedad que hoy llamamos escorbuto.
La “Thuja occidentalis” es una conífera de la familia de los cipreses. Puede alcanzar los 15/ 20 metros de altura. En Europa se cultiva en forma de arbusto para formar setos (no es una planta invasora), y en macetas y jardineras como planta ornamental.
Su corteza es delgada y brillante cuando el árbol es joven, pero se separa en tiras planas y estrechas a medida que crece.
Las ramas son planas, con ramillas laterales en un solo plano. Tiene la hoja aplastada, escamosa, perenne, verde-amarillenta, muy compacta, resistente y de crecimiento lento. En invierno se tornan rojizas.
Florece a finales de invierno y principios de primavera, con pequeñas flores de 1 mm, rojo oscuro las masculinas y amarillo parduzco las femeninas. Sus frutos son cónicos, de 7 a 12 mm, y crecen en grupos. Sus semillas son aladas.
La forma de cono del árbol es natural, no necesita poda para mantener su aspecto.
Su madera es ligera, suave y aromática.
Cuando se estrujan sus hojas despiden olor a manzana.







Euphorbia dendroides L.
Nombre científico: Euphorbia dendroides L.
Nombre común: lechetrezna arbórea, titímalo árbol, lecherina, leitariega
Nombre en inglés: tree spurge, woody spurge
Familia: euphorbiácea
Etimología: Del griego “euphórbion”, nombre de una lechetrezna cactiforme de las montañas de Mauritania. Según Plinio se refiere a Euforbo, un médico del rey Juba II de Namibia (actual Mauritania) que descubrió las virtudes medicinales, laxantes, de esta planta. El nombre “Euforbo” deriva del griego y significa “bien alimentado”.
“Dendroides” significa “parecido a un árbol, de aspecto arbóreo”
Origen: En el litoral mediterráneo, de la Península Ibérica hasta la costa de Egipto, también se encuentra en Canarias.
Hábitat: En zonas de poca humedad y sol abundante. Vive en suelos rocosos y esquistosos, calcáreos o silíceos. Forma parte de la vegetación de los hábitats pedregosos de las maquias litorales mediterráneas (formación vegetal de especies perennes formadas por arbustos y árboles termófilos) y de los talwegs (vaguada, línea que marca la zona más profunda de un valle) de las sierras bajas litorales.
No puede vivir en cimas o montañas altas pues no soporta temperaturas superiores a 10º por tiempo prolongado.
¿Dónde encontrarlo?: En la factoría vegetal, junto a las plantas tóxicas y rituales
¿Por qué?: Por la explosión amarilla de su prolífica floración.
Curiosidades:
Planta fanerógama con aspecto arbóreo y muchas ramas rígidas de color rojizo sin hojas en la parte basal. Sus hojas, que están en la parte alta de las ramas y miden hasta 7 cm de longitud, son suculentas, pequeñas, linear-lanceoladas, de color verde-amarillento en invierno y rojo-anaranjado a finales de primavera o principios de verano.
Las inflorescencias poseen aspecto de paraguas con brácteas (diminutos foliolos en la parte bajas de sus flores) con una estructura de rombo. Sus flores son de color amarillo oro.
Se llama lechetrezna por el látex blanquecino que secretan las ramas al rasgarse.
En invierno y primavera forma verdaderos cojines esféricos. En verano se presenta en forma de arbustos sin hojas y aspecto esquelético. Recobra sus hojas en septiembre.
En otoño, la fruta de la planta expulsa las semillas a una distancia considerable.
Antiguamente se utilizaba para quitar callos o verrugas por medio del látex que salía al partir las ramitas y como laxante o purgante para solucionar problemas de estreñimiento moliendo sus semillas y la raíz. Actualmente no se utiliza debido a los problemas de toxicidad que plantea ya que el látex es irritante y cáustico.







Viola riviniana Rchb.
Nombre científico: Viola riviniana Rchb.
Nombre vulgar: violeta silvestre
Nombre en inglés: violet
Familia: violáceas
Etimología: El nombre violeta alude al color de sus flores. Fue nombrada como “riviniana” en honor del botánico alemán Augustus Quirinus Rivinus.
Origen: Es natural de Europa y de la región mediterránea.
Hábitat: Se puede encontrar en bosques (principalmente robledales y hayedos), prados, matorrales y cultivos abandonados.
Prefiere los suelos con PH neutro.
No tolera los encharcamientos.
En Asturias es frecuente desde el nivel del mar hasta la alta montaña.
¿Dónde encontrarla?: En el entorno cantábrico, repartida por todo el sotobosque.
¿Por qué?: Por sus flores, su abundancia en esta época del año y por ser el logotipo de la Asociación de amigos del Jardín Botánico de Gijón.
Curiosidades:
Es expectorante y tiene uso medicinal contra la tos.
Si se ingieren las violetas son purgantes y vomitivas; por ello el ganado las evita.
Con sus hojas se puede preparar una infusión.
De las violetas se obtienen esencias usadas en perfumería.
Las violetas son plantas madrugadoras. Son de las primeras flores que aparecen en invierno, junto con las primaveras, eléboros y margaritas.
A menudo aparecen agrupadas.
La viola riviniana se distingue de otras violetas por su espolón.






